本文へスキップ

口永良部島の魚情報を発信します。

Email: erabu.info@gmail.com

〒891-4208屋久島町口永良部島1232-3



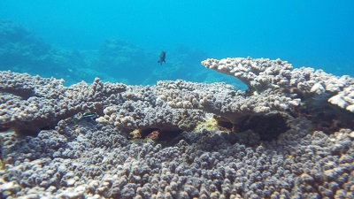
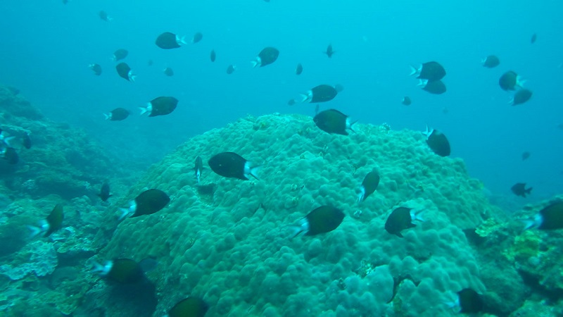
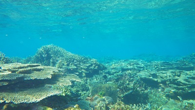
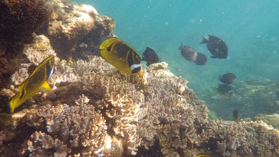
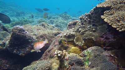
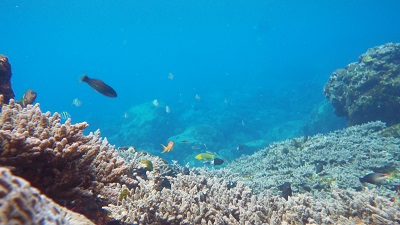
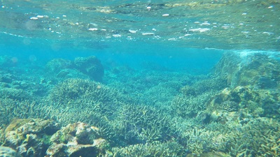
口永良部島には、美しいサンゴの海が広がっています。スキューバ・ダイビングでなくても、ごく簡単にシュノーケリングで、豊かな海を楽しめます。
   
大久保 政英 氏 の写真で、口永良部島の海を紹介します。
魚名は、口永良部島の漁師、峯苫 健さんと南海留学生、中学一年生の丸岡 輝君が調べて、入力してくれました。


撮影者の大久保 政英 さんは、
2012年〜2014年に口永良部島に滞在。
現在は、京都市内で中国料理店「菜格」を経営。



   
   多分、アオウミガメ

島の北側にある美浦の港には、数頭のアオウミガメが棲みついています。
   その中の1頭は、片手を失ったカメさんで、けなげに生き延びています。
   キビナゴの群れ
   
   アマミスズメダイの群れ
   
   
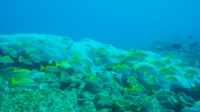
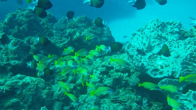
   台風の時のイチモンジブダイやオジサンなどの群れ
   
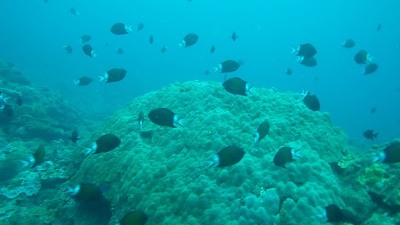
   ナガニザの群れ
   シマハギ
   
   
  ハナグロチョウチョウウオ

ムスジコショウダイ
   
  アワが出ているのは海底温泉
   
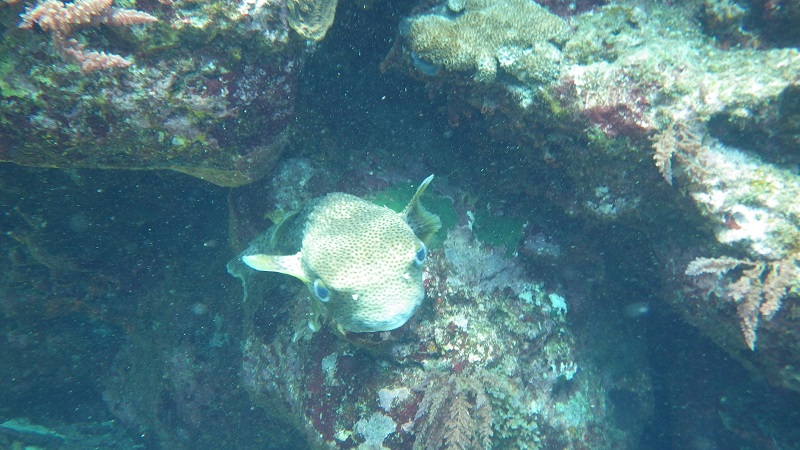
   ネズミフグ
   ハナダイ
   ウミウシの一種
   ムラサキオカヤドカリ
   エラブウミヘビ
   クマノミ
   ソラスズメダイ
   シャコガイ
   シャコガイ
   夜光貝
   サンゴの一種
   左上
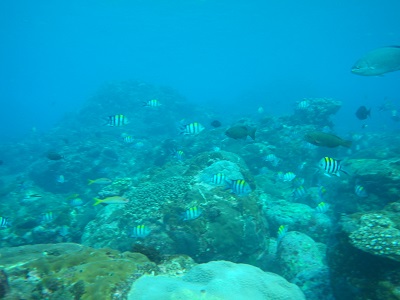
イスズミ、イチモンジブダイ

左下から右へ、
アカハタ、イスズミ(シツ)、コブシメ、イスズミ、ニザダイほか
   上から、
バラハタ、ナガブダイ、テングダイ(白黒のシマ)、アカマツカサ(右下)
  上の白っぽく見えるのがイスズミ、下はメジナ
   
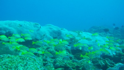
   フエダイ
   アオチビキ
   ゾウリエビ
  イセエビ
   
   
   
   
   
   
   
   
   
   
   
   
   
   
   
   
   
   
   
   
   
   
   
   
   
   
   
   
   
   
   
   
   
   
   
   
   
   
   
   
   
   
   
   
   
   
   
   
   
   
   
   
   
   
   
   
   
   
   
   
   
   
   
   
   
   
   
   
   
   
   
   
   
   
   
   
   
   
   
   
   
   
   
   
   
   
   
   
   
   
   
   
   
   
   
   
   
   
   
   
   
   
   
   
   
   
   
   
   
   
   
   
   
   
   
   
   
   
   
   
   
   
   
   
   
   
   
   
   
   
   
   
   
   
   
   
   
   
   
   
   
   
   
   
   
   
   
   
   
   
   
   
   
   
   
   
   
   
   
   
   
   
   
   
   
   
   
   
   
   
   
   
   
   
   
   
   
   
   
   
   
   
   
   
   
   
   
   
   
   
   
   
   
   
   
   
   
   
   
   
   
   
   
   
   
   
   
   
   
   
   
   
   
   
   
   
   
   
   
   
   
   
   
   
   
   
   
   
   
   
   
   
   
   
   
   
   
   
   
   
   
   
   
   
   
   
   
   
   
   
   
   
   
   
   
   
   
   
   
   
   
   
   
   
   
   
   
   
   
   
   
   
   
   
   
   
   
   
   
   
   
   
   
   
   
   
   
   
   
   
   
   
   
   
   
   




このページの先頭へ