
| 図鑑の立ち上げにあたって 2014年10月 広島大学水圏資源生物学研究室 木村 祐貴 広島大学は40年以上前から口永良部島を調査地として、様々な魚類の生態を解明するために研究を続けてきました。これだけ長い期間、同一の調査地で継続して調査を行っている研究機関は他に例がありません。口永良部島の豊かな自然はもちろんですが、温かい島民の皆さんのお力添えがあったからこそ、ここまで続けてこられたのです。 そのせめてもの恩返しのためには何ができるのか。悩んだ末に導き出した答えが口永良部島魚類図鑑の作成です。 口永良部島は黒潮が東シナ海から太平洋へと大蛇行する海域にあるため、黒潮の影響を色濃く受けています。その結果、温帯性魚類と亜熱帯性魚類が混ざり合う、非常に魚類多様性に富んだ海域として世界的にも注目されています。そうした海域の魚類図鑑を作成することは、学術的に価値が高いのはもちろんですが、地域貢献に繋がると考えています。 海の魅力を全世界に発信するだけでなく、小中学校での教育材料、ガイド用の資料、文化の継承など多岐にわたる活用方法があります。 もちろん、これで完成したわけではなく、今後も随時種数を増やしていく予定です。完成までどれだけの時間がかかるかわかりませんが、長い目で見守っていただければ幸いです。 この図鑑をご覧になって口永良部島に興味をもたれた方は、ぜひ一度足を運んでご自分の目でエラブの海と向き合ってみてください。写真からは伝わらない感動と出会えるはずです。 |
図鑑作成チームは、下記のメンバーです。
広島大学水圏資源生物学研究室
監修:木村 祐貴 撮影・原稿:木村 祐貴、坂上 嶺、佐々木 司
口永良部島
えらぶ原稿:漁振会(漁師組合)
ネット掲載:えらぶ年寄り組
| 「くちのえらぶ魚類図鑑」を運営するための覚え書 図鑑の趣旨と目的 口永良部島の近海に棲息する海の生き物を島内外に紹介するとともに、豊かな海と多種多様な海の生き物を大切に守り、食し、利用しながら、子々孫々に引き継ぐために役立てることを目的とする。 作成と運営 撮影と学術的な解説は、広島大学水圏資源生物研究室の学生・院生がボランティアで担当する。 口永良部島の島民は、暮らしの中での魚にまつわるエピソードの執筆する。また、撮影やネット掲載を担当する。 約束 掲載した画像や解説文は、口永良部島の暮らしに役立てるために使うことは自由であるが、第三者が商業的に利用することは許されない。 2014年10月 図鑑作成チーム |
| 峯苫 健さんの名前が付いた魚 木村 祐貴さんからうれしい便りがありました。 「2014年1月にエラブを訪れ、峯苫さんと七釜の沖で釣りをした 標準和名はエラブスミヤキと名付け、 エラブスミヤキ、Neoepinnula minetomai ![]() 写真は、高知大学のホームページから。 高知大学のホームページの紹介です。 「2014年1月14日に本研究室OBで広島大学大学院の木村祐貴氏(第2著者)は,自身の研究フィールドである鹿児島県口永良部島沖の水深およそ380-420 mからクロタチカマス科の2標本を釣獲しました.これら2標本は同一種で,側線の特徴から Neoepinnula Matsubara and Iwai, 1952 トウヨウカマス属に分類され,本属の既知種2種 N.orientalis (Gilchrist and von Bonde, 1924) トウヨウカマス と N. americana (Gray, 1953) とは,眼窩径が著しく大きいこと,下顎先端部に発達した犬歯状歯を欠くこと,前方の側線の一部が主鰓蓋骨下に隠れること,そして頭長や吻長,下顎長,尾鰭長などの多くの計測形質で明瞭に異なる新種と判明しました.学名は口永良部島の漁師で採集協力者の峯苫 健氏に献名し,和名は口永良部島の愛称“エラブ”と体色が黒いことに因んだクロタチカマス科魚類の和名のひとつの“スミヤキ”を合わせたものです」 |

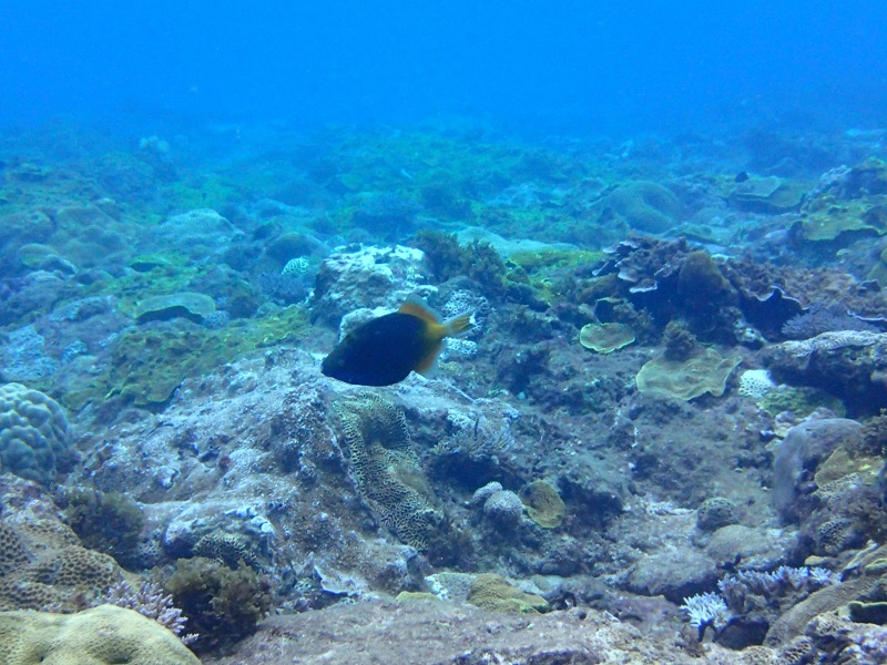
| 目 名 | 科 名 | 説 明 | 出典のない撮影者は広島大学です。 |
| ウナギ目 | |||
| 1 | ウツボ科 | ウツボ科の魚は 夜行性で、昼間は岩やサンゴの割れ目に潜んでいる。恐ろしげな見た目とは裏腹に、その性格はとてもおとなしいが、鋭い歯には注意が必要である(佐々木 司)。 |
|
| ウツボ科 | ゴマウツボ Gymnothorax flavimarginatus ウナギ目ウツボ科ウツボ属 高知県以南の太平洋-インド洋のサンゴ礁域の浅所に生息。全長1mほどのやや大型のウツボ類で、顎歯は非常に鋭い。鰭の縁辺が黄色あるいは黄緑色で後方ほど白くなるのが特徴。(坂上 嶺) |
||
| ウツボ科 | ニセゴイシウツボ Gymnothorax isingteena ウナギ目ウツボ科ウツボ属 エラブ名: |
||
|
ヘリゴイシウツボ エラブ名: 高知県以南、インド・太平洋のサンゴ礁域の浅所に生息する。全長は最大で80cmほど。吻部はやや尖り、体の後部にかけて不規則な斑紋が見られる。ウツボ類は主に魚類、甲殻類、タコ類を捕食しており、特にタコの天敵として有名である。 |
![]() |
||
|
|
ウツボ科 |
ハナビラウツボ |
|
| 2 | アナゴ科 | ||
| アナゴ科 | チンアナゴ Heteroconger hassi ウナギ目アナゴ科チンアナゴ亜科チンアナゴ属 高知県、屋久島、琉球列島、インド・西太平洋域に分布。流れの強いサンゴ礁の砂底に生息する。非常に細長く、その体のほとんどを砂中に垂直に突き刺し、東部だけを出して流れてくるプランクトンを捕食している。敵が近づくと全身を砂に引っ込めて身を隠す。その可愛らしい姿から鑑賞用として人気が高く、全国の水族館で展示されている。(坂上
嶺) |
|
|
| ニシン目 | |||
| 4 | ニシン科 | ||
| ニシン科 | キビナゴ Spratelloides gracilis ニシン目ニシン科キビナゴ属 本州中部以南、インド・西太平洋域に分布。外洋水の影響の強い沿岸域で大群を形成する。5~8月にかけて接岸し、産卵を行う。その数はすさまじく、水中を泳いでいると気がつくと周りがキビナゴだらけになっていることもしばしば。水産上の重要種でもあり、本種を求めて多くの魚食性魚も集まってくる。口永良部島では、夏から秋にかけて漁が盛んに行われる。 |
||
| ヒメ目 | |||
| 6 | エソ科 | ||
| エソ科 | オキエソ Trachinocephalus myops ヒメ目 エソ科 オキエソ属 エラブ名: 岩手県以南、全世界の温帯・熱帯域に分布。浅海の砂もしくは砂泥底に生息する。吻は著しく短く、体側には灰青と黄色の縦帯がある。全長35cmほど。 (佐々木司) |
![]() |
|
| ダツ目 | |||
| 8 | ダツ科 | ||
| ダツ科 | オキザヨリ Tylosurus crocodilus ダツ目 ダツ科 テンジクダツ属 エラブ名:サンカン 青森県以南の日本海側と太平洋側、世界中の熱帯から温帯域に分布。沿岸の表層に生息している。鰓蓋骨前部に暗青色の横帯がある。全長1.3mほど。エラブでは折崎の磯などでルアー釣りをしていると、よくルアーに飛びかかってくる。(佐々木司) |
![]() |
|
| キンメダイ目 | |||
| 10 | イットウダイ科 | ||
| イットウダイ科 | スミツキカノコ Sargocentron melanospilos キンメダイ目 イットウダイ科 イットウダイ属 エラブ名: 和歌山県以南の南日本、インド・西太平洋に分布。岩礁域に生息する。上顎の先端は下顎の先端よりも前方に突出する。背鰭と臀鰭の軟条部基底付近、尾柄中央に黒色班がある。(佐々木 司) |
![]() |
|
| ットウダイ科 |
ウケグチイットウダイ |
||
| 12 | キンメダイ科 | ||
|
|
キンメダイ科 |
ナンヨウキンメ |
|
| トゲウオ目 | |||
| 14 | ヤガラ科 | ||
| ヤガラ科 | アオヤガラ Fistularia commersonii トゲウオ目 ヤガラ科 ヤガラ属 エラブ名:ヒエンド 北海道–九州南岸の太平洋・日本海・東シナ海沿岸、瀬戸内海、伊豆諸島、小笠原諸島、大隅諸島および琉球列島などインド–汎太平洋に広く分布。沿岸の浅海域に生息する。細長い口は小型動物を吸い込むように捕食するためである。近縁種のアカヤガラとは体が赤色かで区別されることが多いが、赤いアオヤガラもいるため体色だけでは識別できない場合もある。食味はアカヤガラに劣るとされる。エラブでは沖釣りの外道としてよく釣獲される.(木村祐貴) |
![]() ![]() |
|
| 14 | ヨウジウオ科 | ||
| ヨウジウオ科 | クチナガイシヨウジ トゲウオ目 ヨウジウオ科 イシヨウジ属 エラブ名:
|
||
| 18 | ヘラヤガラ科 | ||
| ヘラヤガラ科 |
ヘラヤガラ Aulostomus chinensis トゲウオ目 ヘラヤガラ科 ヘラヤガラ属 エラブ名: 相模湾–九州南岸の太平洋沿岸、伊豆諸島、小笠原諸島、大隅諸島、琉球列島、インド–汎太平洋に分布する。サンゴ礁域の水深30m以浅に生息する。体色は暗褐色から鮮やかな黄色まで多様に変異する。よくヤガラ科と混同されるが、ヘラヤガラ科には背鰭棘と下顎に髭があることで容易に区別される。エラブでは西浦や本村湾などでみられる。ぼーっと泳いでいるため、手で捕まえられることもある。 |
||
| 20 | ヘコアユ科 | ||
|
|
ヘコアユ科 |
ヘコアユ |
|
| スズキ目 | |||
| 22 | フサカサゴ科 | ||
| フサカサゴ科 | カスリフサカサゴ
Sebastapistes cyanostigma 高知県以南、インド・太平洋熱帯域に分布。岩礁域、サンゴ礁域に生息している。フサカサゴ科は一般的に頭蓋骨、頬、前鰓蓋骨などに多くの棘をもつかっちりとした頭部を持つ。ミノカサゴのように棘に毒をもつ種がいくつかいることが知られていたが、近年、弱毒ではあるものの、多くのカサゴで毒をもっていることが報告されている。(坂上 嶺) |
||
| フサカサゴ科 | ハナミノカサゴ
Pterois volitans 駿河湾以南、インド・太平洋海域、富山県を北限とする日本海沿岸に分布。岩礁域やサンゴ礁域に生息している。近縁のミノカサゴとの違いは頭部、胸部腹面に茶褐色の縞模様があることと、背鰭と臀鰭、尾鰭に明瞭な暗褐色斑点があることから区別できる。鰭の棘に強い毒をもっているためか、ダイバーをあまり怖がらない。かなり近くまで接近できる格好の被写体である。(坂上
嶺)。 |
![]() ![]() |
|
|
|
フサカサゴ科 |
ダンゴオコゼ |
|
| 24 | ハオコゼ科 | ||
| ハオコゼ科 | ツマジロオコゼ
Ablabys taenianotus 紀伊半島以南、インド・西太平洋域に分布。岩礁域、サンゴ礁域に生息している。背鰭前端部が著しく高く、体は強く側扁するのが特徴である。縄張りを持ち、単独での底生生活を基本とする。産卵の際には、雌が雄の縄張りに侵入し、雄が鰭で雌をなでて求愛することが知られている。(坂上
嶺) |
||
| 26 | コチ科 | ||
| コチ科 | フサクチゴチ Sunagocia otaitensis スズキ目コチ科スナゴチ属 エラブ名: 伊豆諸島、小笠原諸島、琉球列島、台湾南部、インド–太平洋の熱帯・亜熱帯域に分布。浅海岩礁域の砂底に生息する。眼下骨隆起線に5棘あること、上唇下縁と下唇上縁に多くの乳頭状皮弁があることで識別される。本属魚類は報告が非常に少なく、生態もほとんど明らかとなっていない。エラブにおいても西浦の水深5mの岩礁域で採集されたのみで、どこに生息しているのか、再生産を行っているのかは一切不明である。写真の個体は標本として鹿児島大学総合研究博物館に保管されている。(木村祐貴) |
![]() |
|
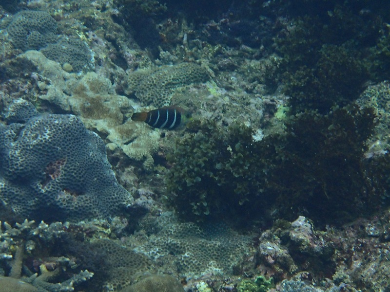
| 28 | ハタ科 | ||
| ハタ科 | アオノメハタ Cephalopholis argus スズキ目 ハタ科 ユカタハタ属 エラブ名: |
![]() |
|
| ハタ科 | アカイサキ | ![]() 写真は、下がアカイサキ、上がヨスジフエダイ |
|
| ハタ科 | アカハタ Epinephelus fasciatus スズキ目 ハタ科 ハタ属 エラブ名:メバル |
![]() ![]() |
|
| ハタ科 | アカハタモドキ Epinephelus retouti スズキ目 ハタ科 マハタ属 エラブ名:ウマメバル 小笠原諸島、沖縄諸島、インド・太平洋域に分布。沿岸の岩礁やサンゴ礁外縁に生息する。背鰭棘条部の外縁は真紅であり、背鰭後縁と尾鰭背縁は黒い。全長40cmほど。 |
||
| ハタ科 | アゴハタ Pogonoperca punctate スズキ目 ハタ科 アゴハタ属 エラブ名: 和歌山県以南の南日本、東インド・太平洋域に分布。沿岸の岩礁やサンゴ礁域に生息する。体側には成魚には下顎先端下部の皮弁があり、体側背縁に鞍状の黒色班がある。全長35cmほど。 |
||
| ハタ科 | アザハタ Cephalopholis sonnerati スズキ目 ハタ科 ユカタハタ属 エラブ名: 静岡県以南の南日本、インド・太平洋域に分布。沿岸の岩礁やサンゴ礁域に生息する。頬部に赤もしくは赤褐色の網目状班がある。全長45cmほど。(佐々木 司) |
||
| ハタ科 |
オジロバラハタ |
||
| ハタ科 | ツチホゼリ Epinephelus cyanopodus スズキ目 ハタ科 マハタ属 エラブ名: |
||
| ハタ科 | ニジハタ Cephalopholis urodeta スズキ目 ハタ科 ユカタハタ属 エラブ名: 三重県以南の南日本、インド・太平洋域に分布。サンゴ礁域に生息する。体は赤もしくは赤褐色であり、尾鰭に白色斜走帯がある。全長25cmほど。磯や堤防などから釣ることができ、刺身や煮つけなどで美味。 |
![]() |
|
| ハタ科 | ヌノサラシ Grammistes sexlineatus スズキ目 ハタ科 ヌノサラシ属 エラブ名: 神奈川県以南の南日本、インド・太平洋域に分布。沿岸の岩礁やサンゴ礁域に生息する。体側には白色縦帯があり、皮膚には粘液毒がある。全長30cmほど。 |
||
| ハタ科 | バラハタ Variola louti スズキ目 ハタ科 バラハタ属 エラブ名:アカジョウ 相模湾以南の南日本、インド・太平洋域に分布。沿岸の岩礁やサンゴ礁外縁に生息する。尾鰭は三日月形で後縁は黄色い。幼魚は体側に黒色縦帯がある。全長60cmほど。 |
![]() |
|
| ハタ科 | フタイロハナゴイ | ||
| ハタ科 | ホウキハタ Epinephelus morrhua スズキ目 ハタ科 マハタ属 エラブ名: |
||
| ハタ科 | ヤミハタ Cephalopholis boenak スズキ目 ハタ科 ユカタハタ属 エラブ名: 三重県以南の南日本、インド・西太平洋域に分布。内湾のサンゴ礁域に生息する。体側には多くの濃暗色横帯がある。全長20cmほど。 |
![]() |
|
| ハタ科 | ユカタハタ Cephalopholis miniata スズキ目 ハタ科 ユカタハタ属 エラブ名: 静岡県以南の南日本、インド・太平洋域に分布。沿岸の岩礁やサンゴ礁域に生息する。体の地色は赤色もしくは橙色で、青色班が多くみられる。全長35cmほど。 |
|
|
|
|
ハタ科 |
イシガキハタEpinephelus hexagonatusスズキ目 ハタ科 マハタ属エラブ名:和歌山県以南、西インド洋、西・中央太平洋に分布。波あたりの強いサンゴ礁外縁に生息する。体の背縁には5つの黒斑がある。本村湾の湾口部で釣ることができた。煮つけなどで美味しく食べられる。(佐々木 司) |
|
|
ハタ科 |
イズハナダイPlectranthias kamiiスズキ目 ハタ科 イズハナダイ属エラブ名:相模湾以南に分布。水深100-300mほどの岩礁域に生息する。背鰭第3棘がやや伸長する。肉食性であり、釣りなどで漁獲されることがある。(佐々木
司) |
||
|
ハタ科 |
ハナゴンベSerranocirrhitus latusスズキ目 ハタ科 ハナゴンベ属エラブ名:静岡県以南、西太平洋に分布。サンゴ礁外縁部の崖穴や岩棚の下に小さな群れで生息する。遊泳性だが海底からあまり離れない。円盤状の体形で綺麗な体色をもち、観賞魚として人気である。(佐々木
司) |
||
|
ハタ科 |
キンギョハナダイPseudanthias squamipinnisスズキ目 ハタ科 ナガハナダイ属エラブ名:相模湾以南の太平洋沿岸と山口県以南の日本海沿岸、インド・西太平洋に分布。浅所の岩礁域やサンゴ礁域に生息する。雄は背鰭第3棘が伸長し、胸鰭に赤紫色の斑紋があり、色彩には地理的変異がある。ある特定の岩やサンゴを生息基盤としており、そこから遠くに離れることはない。幼魚、雌、雄がまじる群れで生活をし、雌性先熟の性転換を行う。小さな群れでは、群れの中に雄は1個体だけであるが、大きな群れでは複数の雄が存在する。観賞魚として人気の魚である。(佐々木
司) |
||
|
ハタ科 |
ハナゴイPseudanthias pascalusスズキ目 ハタ科 ナガハナダイ属エラブ名:相模湾以南の西・中央太平洋に分布。沿岸の岩礁やサンゴ礁に生息する。体はやや細長く赤紫色で、雄は吻端が尖り、背鰭後方は濃赤色。スキューバダイビングや水槽飼育での鑑賞対象として人気が高い。(佐々木 司) | ||
|
ハタ科 |
オオモンハタEpinephelus areolatusスズキ目 ハタ科 マハタ属エラブ名:相模湾以南の太平洋沿岸、長崎県以南の東シナ海沿岸、インド・西太平洋に分布。沿岸の岩礁やサンゴ礁域に生息する。尾鰭後縁は截形であり、後縁に白い縁取りがある。刺身や煮つけなどで食べられ、とても美味である。(佐々木
司) |
||
|
|
ハタ科 |
シロブチハタEpinephelus maculatusスズキ目 ハタ科 マハタ属エラブ名:相模湾以南の太平洋沿岸、西太平洋に分布。サンゴ礁域浅所に生息する。背部に大きな白色斑が2-3個ある。幼魚の白斑は極めて明瞭である。刺身や汁物などで食べられ、とても美味である。(佐々木
司) |
|
|
ハタ科 |
コクハンアラPlectropomus laevisスズキ目 ハタ科 スジアラ属エラブ名:和歌山県以南のインド・太平洋に分布。沿岸の岩礁やサンゴ礁外縁に生息する遊泳性の種である。成魚は全長1mを超える大型魚である。写真にあるような幼魚個体は黒色鞍状班をもち、有毒のシマキンチャクフグに似ている。これは、毒などをもつ危険な種に擬態することで捕食されるのを回避する、ベーツ型擬態ではないかと考えられる。(佐々木
司) |
||
| 30 | キントキダイ科 | ||
| キントキダイ科 | ホウセキキントキ Priacanthus hamrur |
||
| キントキダイ科 |
ゴマヒレキントキHeteropriacanthus cruentatusスズキ目 キントキダイ科 ゴマヒレキントキ属エラブ名:シベン 八丈島、小笠原諸島、相模湾-屋久島の太平洋沿岸、琉球列島、台湾、香港、西沙諸島、全世界の熱帯・亜熱帯海域に分布。水深20m-30mに生息する。背鰭・臀鰭軟条部、尾鰭に黒褐色点が散在することで容易に識別できる。夜行性で、本村港での夜釣りでよく釣れる。塩焼きなどで美味しくいただける。(木村祐貴) |
||
| 32 | テンジクダイ科 | ||
| テンジクダイ科 | オオスジイシモチ Apogon doederleini スズキ目 テンジクダイ科 テンジクダイ属 エラブ名: 千葉県以南の太平洋沿岸、大隅諸島および琉球列島、西太平洋に分布する。体側に5本の茶色の縦線が走ること、尾柄中央に黒色斑があることで識別される。日中は岩陰などに隠れているが、夜になると活発に活動する。本村港堤防で夜に餌釣りをすると面白いように釣れるが、一般的には食用にはされない。(木村祐貴) |
||
| テンジクダイ科 | クロホシイシモチ Apogon notatus スズキ目 テンジクダイ科 テンジクダイ属 エラブ名: 本州中部以南、台湾、フィリピンに分布する。浅海の岩礁域で大きな群れを作って生息する。テンジクダイの仲間は雄が口内で卵がハッチアウトするまで保護する変わった習性をもつ。繁殖時期にはダイビング中に卵保護をする雄を見かけることも多い。(木村祐貴) |
||
| テンジクダイ科 | オオスジテンジクダイ | ||
| テンジクダイ科 |
クロホシテンジクダイ |
||
| テンジクダイ科 |
アオスジテンジクダイ |
||
| 34 | ムツ科 | ||
| ムツ科 |
ムツ |
写真 上は→ムツ 下の個体は→クロシビカマス エラブ名:ナワキリ |
|
| 36 | スギ科 | ||
| スギ科 | スギ Rachycentron canadum スズキ目 スギ科 スギ属 エラブ名:ツグロ オホーツク海沿岸を除く日本海・太平洋沿岸、世界中の温帯・熱帯域に分布。沿岸から沖合の表層に生息する。体側中央部に幅広い暗色縦帯がある。エラブでは西浦湾の水深5–6mほどの湾内に現れることもあり、本村湾の堤防から釣れることもある。(佐々木 司) |
![]() |
|
| 36 | シイラ科 | ||
| シイラ科 | シイラ Coryphaena hippurus スズキ目 シイラ科 シイラ属 エラブ名:マンビキ
|
![]() |
|
| 40 | アジ科 | ||
| アジ科 |
カスミアジ |
||
| アジ科 | カンパチ Seriola rivoliana スズキ目 アジ科 ブリ属 エラブ名:アカバラソウジ、小型はソウジゴ 北海道以南、全世界の温帯・熱帯域に分布。沿岸域に生息する。ブリやヒラマサよりも体高が高い。上顎から背鰭まである黒褐色斜帯があり、背方からみると「八」に見えることが名前の由来。全長1.9mほど。船釣りで大型個体を狙うことができるが、小型個体なら堤防からでも釣ることができる。(佐々木 司) |
![]() |
|
| アジ科 | ツムブリ Elagatis bipinnulata スズキ目 アジ科 ツムブリ属 エラブ名:メキチ 青森県以南、全世界の温帯・熱帯域に分布。沿岸から沖合に生息する。体側は黄色もしくは黄緑色で、2本の青色縦帯がある。全長1mほど。(佐々木 司) |
||
| アジ科 | ナンヨウカイワリ Carangoides orthogrammus スズキ目 アジ科 ヨロイアジ属 エラブ名:エバ 青森県以南、インド・太平洋に分布。沿岸から沖合に生息する。体側に黄色の小斑点がある。全長80cmほど。エラブの堤防から釣ることができる。(佐々木 司) |
![]() ![]() |
|
| アジ科 | ヒラマサ Seriola lalandi スズキ目 アジ科 ブリ属 エラブ名:ヒラス 北海道以南、全世界の温帯・亜熱帯域に分布。沿岸から沖合に生息する。背方は青緑色、腹方は銀白色で、ブリとは上顎上後端が丸いこと、腹鰭より胸鰭のほうが短いことで区別できる。全長1.9mほど。本村湾の堤防で釣ることができる。(佐々木 司) |
![]() |
|
| アジ科 | ヒレナガカンパチ Seliora rivoliana スズキ目 アジ科 ブリ属 エラブ名:アカバラソウジ 相模湾以南の南日本、全世界の温帯・熱帯域に分布。沿岸からやや沖合に生息。カンパチとは第二背鰭先端が鎌状であることや、尾鰭下葉先端が白くないことで区別できる。全長1.1mほど。(佐々木 司) |
||
|
アジ科 |
クサヤモロDecapterus macarellusスズキ目 アジ科 ムロアジ属エラブ名:青森県以南、全世界の温・熱帯海域に分布。沿岸や島嶼部に生息する。生鮮時、体側に青色縦帯があることで同属のムロアジと区別できる。エラブでは生きたクサヤモロを餌にして、カンパチやキハダなどの大型魚を釣りで漁獲する。(佐々木
司) |
||
|
アジ科 |
ロウニンアジCaranx ignobilisスズキ目 アジ科 ギンガメアジ属エラブ名:茨城県以南の太平洋沿岸、インド・太平洋に分布。内湾やサンゴ礁などの沿岸域に生息する。大型の個体は全長1mを超え、迫力ある姿からスキューバダイビングでの鑑賞で人気である。また、ルアーフィッシングでは最高峰のターゲットであり、釣り人にとって夢の魚である。エラブでも磯などから狙うことができるが、非常に引きが強く、大型の個体は釣りあげることが難しい。(佐々木
司) |
||
|
アジ科 |
シマアジPseudocaranx dentexスズキ目 アジ科 シマアジ属エラブ名:青森県以南の太平洋沿岸と新潟県以南の日本海沿岸、東太平洋を除く全世界の温帯域に分布。生時、体側中央に黄色縦帯がある。天然物は市場に出回ることが少なく、高値で取引される最高級魚である。刺身などで食べられ、非常に美味である。エラブでは小型魚であれば、船着き場からサビキ釣りなどで釣ることができる。(佐々木
司) |
||
|
アジ科 |
マアジTrachurus japonicusスズキ目 アジ科 マアジ属エラブ名:北海道以南の太平洋・日本海沿岸に分布。稜鱗が側線の全域にあることで、ムロアジ属やメアジなどと区別できる。エラブでは堤防からサビキ釣りなどで釣られ、唐揚げなどにして食べられる。(佐々木
司) |
||
| 42 | フエダイ科 | ||
| フエダイ科 |
オオグチイシチビキ |
||
| フエダイ科 | ヒメフエダイ Lutjanus gibbus
|
![]() |
|
| フエダイ科 | ヒメダイ Pristipomoides sieboldii スズキ目 フエダイ科 ヒメダイ属 エラブ名:イナゴ 伊豆諸島、小笠原諸島、相模湾以南の太平洋沿岸、鹿児島県大隅海峡、奄美大島以南の琉球列島、インド–太平洋に分布する。水深100m以深に生息していることが多い。体色は濃い赤紫色で、体側に目立った模様はない。エラブでは沖釣りで釣獲されるが、それほど多くはない。(木村祐貴) |
||
| フエダイ科 | ヨスジフエダイ Lutjanus kasmira スズキ目 フエダイ科 フエダイ属 エラブ名:ヤマトビ 神奈川県–九州南岸の太平洋沿岸、富山湾、島根県浜田、大隅諸島、琉球列島、インド–太平洋に分布。岩礁、サンゴ礁域の浅所に生息する。近縁種にロクセンフエダイ、ベンガルフエダイがいるが体側の青白色縦帯の本数と背鰭棘数などで区別される。本村湾や西浦などで見られるほか、船や岸からの釣りで釣獲されることもある。(木村祐貴) |
![]() 写真は、上がヨスジフエダイ(エラブ名:ヤマトビ)、下がアカイサキ |
|
|
フエダイ科 |
オキフエダイLutjanus fulvusスズキ目 フエダイ科 フエダイ属エラブ名:静岡県以南、インド・太平洋に分布。岩礁やサンゴ礁域に生息する。体高が高く、尾鰭は赤みがかった暗色であり、後縁は白い。エラブでは本村の堤防などから釣ることができる。刺身などで美味しく食べられる。(佐々木 司) | ||
|
フエダイ科 |
アオチビキAprion virescensスズキ目 フエダイ科 アオチビキ属エラブ名:静岡県以南、インド・太平洋に分布。岩礁やサンゴ礁域に生息する。体高が低く、生時は濃緑色の体色をもつ。成魚は1m近くになる。エラブでは本村の堤防などから釣ることができる。(佐々木
司) |
||
|
フエダイ科 |
アオダイParacaesio caeruleaスズキ目 フエダイ科 アオダイ属エラブ名:神奈川県以南、インド・西太平洋に分布。主に100m以深の岩礁域に生息し、体長は50cmほど。背側の体色は青紫色で、腹側は淡色である。産卵期は夏。釣りなどで漁獲され、東京などの市場では高値で取引される高級魚である。刺身や塩焼き、煮物など様々な調理法で美味しく食べることができる。(佐々木 司) | ||
| フエダイ科 |
マダラタルミ |
||
| 44 | イトヨリダイ科 | ||
| イトヨリダイ科 | フタスジタマガシラ Scolopsis bilineata |
![]() |
|
| イトヨリダイ科 | アカタマガシラ Parascolopsis eriomma スズキ目 イトヨリダイ科 タマガシラ属 エラブ名:チレ 八丈島、房総半島以南の太平洋沿岸、屋久島、琉球列島、台湾南部、南沙群島、フィリピン諸島、インドネシア、アンダマン海、スリランカ、紅海-南アフリカに分布。水深50m-100mの岩礁、砂泥底に生息する。第一鰓弓の鰓耙16–18本であること、生時、体側に黄色縦帯が入ることで識別できる。エラブでは水深100m周辺で外道としてよく釣れる。(木村 祐貴) |
||
| 46 | イサキ科 | ||
| イサキ科 | クロコショウダイ Plectorhinchus gibbosus 和歌山、高知以南 インド・西太平洋に分布。浅海の砂域からサンゴ礁域に生息。写真の個体は距離があることと、解像度があまりよくないため判別が難しいが体色から本種と考えられる。2013年の10月末に撮影したもので、30分以上粘ったが、近寄らせてもらえなかった。エラブではコショウダイの仲間はココダイと呼ばれ、おいしい魚として人気が高い。 |
||
| イサキ科 |
チョウチョウコショウダイ Plectorhinchus chaetodonoidesスズキ目イサキ科コショウダイ属エラブ名:ココダイ小笠原諸島、静岡県以南、インド-西太平洋に分布。浅海岩礁、サンゴ礁域に生息。写真の個体は幼魚で成長すると頭から尾鰭まで黒い斑点を散らした体色になる。食用にもなる美味しい魚。(坂上 嶺) |
||
| 48 | タイ科 | ||
| タイ科 | マダイ
Pagrus major |
||
| 50 | フエフキダイ科 | ||
| フエフキダイ科 | シロダイ Gymnocranius uanus |
収穫 |
|
| フエフキダイ科 | メイチダイ Gymnocranius griseus |
||
| フエフキダイ科 |
ヨコシマフエフキ |
||
| 52 | ヒメジ科 | ||
| ヒメジ科 |
オジサン |
![]() ![]() |
|
| ヒメジ科 | ヨメヒメジ Upeneus tragula スズキ目 ヒメジ科 ヒメジ属 エラブ名:ジクジン 茨城県以南、インド・西太平洋域に分布。浅海の砂地と岩礁の境界に生息する。体側に多くの黒褐色班がある。全長30cmほど。 |
![]() |
|
|
ヒメジ科 |
アカヒメジMulloidichthys vanicolensisスズキ目 ヒメジ科 アカヒメジ属エラブ名:房総半島以南の太平洋沿岸と山口県以南の日本海沿岸、インド・太平洋に分布。サンゴ礁域に生息する。目は赤く、体側には黄色の1縦帯がある。死後、体は赤色になり、黄色の縦帯は消失する。日中は群れをつくり、夜間は群れが分散し餌を探し求める。(佐々木
司) |
||
|
ヒメジ科 |
マルクチヒメジParupeneus cyclostomusスズキ目 ヒメジ科 ウミヒゴイ属エラブ名:伊豆半島以南、インド・太平洋に分布。サンゴ礁域に生息する。髭が著しく長く、鰓蓋後縁に達するか、超える。体色は赤褐色、灰褐色、黒褐色など変化が多く、黄色のものはオオゴンヒメジと呼ばれていた。多毛類や甲殻類、魚類などを食べる動物食性であり、エラブでは折崎の磯からルアーで釣ることができた。(佐々木 司) | ||
| 54 | チョウチョウウオ科 | ||
| チョウチョウウオ科 | カスミチョウチョウウオHemitaurichthys polylepis スズキ目 チョウチョウウオ科 カスミチョウチョウウオ属 エラブ名: 静岡県以南、東インド・太平洋域に分布。岩礁・サンゴ礁域に生息する。体には広い白色域がある。全長20cmほど。 |
|
|
| チョウチョウウオ科 | ゴマチョウチョウウオ Chaetodon citrinellus スズキ目 チョウチョウウオ科 チョウチョウウオ属 エラブ名:
|
![]() |
|
| チョウチョウウオ科 | チョウチョウウオ Chaetodon auripes スズキ目 チョウチョウウオ科 チョウチョウウオ属 エラブ名: |
![]() ![]() |
|
| チョウチョウウオ科 | チョウハン Chaetodon lunula スズキ目 チョウチョウウオ科 チョウチョウウオ属 エラブ名: 和歌山県以南の南日本、インド・太平洋域に分布。岩礁・サンゴ礁域に生息する。胸鰭上方に幅の広い暗色斜体がある。全長25cmほど。 |
||
| チョウチョウウオ科 | トゲチョウチョウウオ Chaetodon auriga スズキ目 チョウチョウウオ科 チョウチョウウオ属 エラブ名: 伊勢湾以南、インド・太平洋域に分布。岩礁・サンゴ礁域に生息する。背鰭の第5、6軟条が糸状に伸びる。全長25cmほど。 |
![]() ![]() |
|
| チョウチョウウオ科 | ミゾレチョウチョウウオ Chaetodon kleini スズキ目 チョウチョウウオ科 チョウチョウウオ屬 エラブ名:
|
![]() |
|
| チョウチョウウオ科 | フウライチョウチョウウオ Chaetodon vagabundus スズキ目 チョウチョウウオ科 チョウチョウウオ属 エラブ名: |
||
| チョウチョウウオ科 | アミメチョウチョウウオ Chaetodon xanthurus スズキ目チョウチョウウオ科チョウチョウウオ属 エラブ名: 相模湾以南、沖縄、台湾、フィリピン、インドネシアに分布。水深30m以深のサンゴ礁域に生息する普通種。体色はふつう淡色で、体側には大きな黒色網目模様がある。頭部には眼を通る黒色帯があり、頭頂部にも黒色模様がある。これらは通常青白く縁取られる。尾鰭に橙色帯を有する。藻類や付着生物、底生動物を捕食する雑食性の種。チョウチョウウオの中では比較的餌付きやすく、観賞魚として人気が高い。外見が似た種類にベニオチョウチョウウオがいるが、白地にくの字形の黒色横帯が並ぶこと、目を通る黒帯の上に黒点がないことで見分けられる。また、目の黒帯の上に黒点を有するが、くの字型の黒色横帯が並ぶマダガスカルバタフライフィッシュや、紅海原産で目の帯がオレンジ色のレッドバックバタフライフィッシュも類似した種である。名前が似た種にアミチョウチョウウオがいるが、こちらは外見で容易に見分けられる。(白井 和紗) |
||
| チョウチョウウオ科 |
イッテンチョウチョウウオ |
||
| チョウチョウウオ科 |
オニハタタテダイ |
||
| チョウチョウウオ科 |
|
||
| チョウチョウウオ科 |
シチセンチョウチョウウオ |
||
| チョウチョウウオ科 |
セグロチョウチョウウオ |
||
| チョウチョウウオ科 |
ミカドチョウチョウウオ |
||
| チョウチョウウオ科 |
ミスジチョウチョウウオ |
||
| チョウチョウウオ科 |
ミナミハタタテダイ |
||
| チョウチョウウオ科 |
ヤリカタギ |
||
| 56 | キンチャクダイ科 | ||
| キンチャクダイ科 | サザナミヤッコ Pomacanthus semicirculatus スズキ目 キンチャクダイ科 サザナミヤッコ属 エラブ名:カサッサ 神奈川県以南、インド・西太平洋域に分布。岩礁・サンゴ礁域に生息する。全長40cmほどになるキンチャクダイ科の中では大型種であり、食用になる。幼魚と成魚では体色が大きく異なる。広島大学の本種の研究では、体色が異なることにより、幼魚が成魚から受ける攻撃回数を減らし、餌やシェルターを確保する効果があるのではないかと考察した。 |
![]() ![]() |
|
| キンチャクダイ科 | シテンヤッコ Apolemichthys trimaculatus スズキ目 キンチャクダイ科 サザナミヤッコ屬 エラブ名 和歌山県以南の南日本、インド・西太平洋域に分布。岩礁・サンゴ礁域に生息する。額部に黒色班がある。全長30cmほど。 |
![]() |
|
| キンチャクダイ科 | タテジマキンチャクダイ Pomacanthus imperator スズキ目 キンチャクダイ科 サザナミヤッコ属 エラブ名: 茨城県以南、インド・太平洋域に分布。岩礁・サンゴ礁域に生息する。体には黄色と暗青色の斜帯がある。全長30cmほど。ハレムをつくる。 |
![]() |
|
| キンチャクダイ科 | ナメラヤッコ Centropyge vrolikii スズキ目 キンチャクダイ科 アブラヤッコ属 エラブ名: 静岡県以南、インド・西太平洋域に分布。岩礁・サンゴ礁域に生息する。体の前方は白く、後方は黒い。全長10cmほど。ハレムをつくり、雌性先熟の性転換を行う。主食はデトリタスや藻類である。 |
![]() |
|
| キンチャクダイ科 | ニシキヤッコ Pygoplites diacanthus スズキ目 キンチャクダイ科 ニシキヤッコ属
|
||
| キンチャクダイ科 | アカハラヤッコ Centropyge ferrugata スズキ目キンチャクダイ科アブラヤッコ属 エラブ名: 和歌山県以南、八丈島、小笠原、台湾、フィリピン、西部太平洋に分布。水深30m以深の岩礁やサンゴ礁に生息する普通種。体色は茶褐色で、腹部が赤みを帯び、体側には多数の暗色班がある。背びれは黒っぽく、腹鰭と臀鰭は赤茶色で、雄は背びれと臀鰭の後縁が青く縁どられる。ハレムを持ち、雌性先熟の性転換を行う。全長8㎝ほどの小型種で、鮮やかな色彩から水中写真の被写体や観賞魚として人気がある。藻類を好むが基本は雑食性で、餌付きやすく飼育しやすい種である。口永良部島ではサンゴ礁で2~3のハレムを確認している。(白井 和紗) |
||
| キンチャクダイ科 |
アブラヤッコ |
||
| キンチャクダイ科 |
ソメワケヤッコ |
||
| キンチャクダイ科 | ヘラルドコガネヤッコ Centropyge heraldi スズキ目キンチャクダイ科アブラヤッコ属 エラブ名: 田辺湾以南、小笠原諸島。台湾~トゥアモトゥ諸島に至るインド・太平洋に分布。水深数m~数十mのサンゴ礁域や岩礁域に生息する普通種。体色は一様に鮮やかな黄色で、背鰭、臀鰭、尾鰭、腹鰭も黄色。頭部後方には黒色斑があることが多い。眼の周囲や鰓蓋が青白く縁取られないことでコガネヤッコと区別できる。地域変異として中部太平洋域では背鰭に黒色域がある個体も知られている。体長10cm程度の小型種であり、幼魚はニザダイ科のモンツキハギの幼魚に類似している。雌性先熟の性転換を行うと考えられており、ハレムをもつ。付着生物や藻類を中心とした食性をもち、飼育下ではサンゴをつつくこともある。観賞魚として人気があり、混泳しやすく餌付きやすい種である。口永良部島では2以上のハレムを観察している。(白井 和紗) |
||
| キンチャクダイ科 | ルリヤッコ Centropyge bispinosa スズキ目キンチャクダイ科アブラヤッコ属 エラブ名: 八丈島、和歌山県以南、小笠原諸島、紅海およびハワイ諸島をのぞくインド・太平洋に分布。水深約10m~数十mのサンゴ礁域や岩礁域に生息する。体は楕円形に近く、体側には紫色の横帯がある。体色は地域や個体によってかなり差があり、橙色のものや紫が強いものなどがある。腹鰭が黄色っぽく、背鰭、臀鰭、尾鰭は青っぽく、青白く縁取られる。体長8cmほど。雌性先熟の性転換を行い、ハレムを持つ。付着生物や藻類を食べる雑食性で、飼育下では人工餌も良く食べる。その餌付きやすさと他種との混泳のしやすさから、観賞魚として人気の高い種である。ただし、同種間で激しく争うため、同種での混泳は避ける。口永良部島では1ハレムを観察したが、数は多くない。観察個体は皆、赤みの少ない濃紺であった。(白井 和紗) |
||
| 58 | イシダイ科 | ||
| イシダイ科 | イシダイ Oplegnathus fasciatus |
||
| イシダイ科 |
イシガキダイ |
![]() |
|
| 60 | ゴンベ科 | ||
| ゴンベ科 | イソゴンベ Cirrhitus pinnulatus スズキ目 ゴンベ科 イソゴンベ属 エラブ名:ガブジロ ガブ伊豆諸島、小笠原諸島、大隅諸島、琉球列島、インド–太平洋に分布する。波の荒いサンゴ礁や岩礁域に生息する。ゴンベ科では大型種で、最大30cmに達する。動物食性で甲殻類、小型魚類などを食べる。エラブではテトラの隙間や波当たりの強い磯場でフナムシを餌にして釣ることが多い。食味が良く、ホイル焼きなどで美味しく食べられる。(木村祐貴) |
![]() |
|
| ゴンベ科 | ウイゴンベ Cyprinocirrhites polyactis スズキ目 ゴンベ科 ウイゴンベ属 エラブ名: 千葉県館山以南の太平洋沿岸、インド・太平洋の熱帯域に分布する。水深20m以浅の岩礁域に生息する。尾鰭が湾入すること、背鰭軟条の一部が糸状に伸長することが特徴。遊泳性であり、浮遊している小型甲殻類などを食べている。エラブでは西浦の水深20mで確認されている。(木村祐貴) |
写真左→ウイゴンベ 写真右→ミゾレチョウチョウウオ |
|
| ゴンベ科 |
ホシゴンベ |
![]() ![]() |
|
| ゴンベ科 | メガネゴンベ Paracirrhites arcatus スズキ目 ゴンベ科 ホシゴンベ属 エラブ名: 伊豆諸島、小笠原諸島、和歌山県以南の太平洋沿岸、大隅諸島、琉球列島、インド–太平洋に分布する。枝状サンゴの間に生息する。眼の後方にメガネ状の縁取り模様があることが特徴。エラブでは西浦の枝状サンゴの隙間を探すと出会えることがある。広島大学では本種の生殖腺に関する研究が行われた。(木村祐貴) |
||
| ゴンベ科 |
|
||
| 62 | タカノハダイ科 | ||
| タカノハダイ科 | ミギマキ Goniistius zebra スズキ目 タカノハダイ科 タカノハダイ属 エラブ名: 千葉県以南、台湾など。浅海の岩礁域に生息する。唇が赤い。全長35cmほど。 |
![]() ![]() |
|
| 64 | スズメダイ科 | ||
| スズメダイ科 |
アマミスズメダイ |
||
| スズメダイ科 | オヤビッチャ Abudefduf vaigiensis スズキ目スズメダイ科オヤビッチャ属 エラブ名: ヘキ 千葉県以南の南日本, インド・西太平洋に分布。水深10m以浅の岩礁域, サンゴ礁域に生息する。体側に5本の横帯があること, 背側に黄色斑があることが特徴。全長20cmほど。 口永良部島では夏になると島民が磯場や堤防でヘキ釣りを楽しむ。刺身, 唐揚げなどで美味しくいただける夏の風物詩である。(木村祐貴) |
||
| スズメダイ科 | クマノミ Amphiprion clarkii |
![]() ![]() |
|
| スズメダイ科 | シマスズメダイ
Abudefduf sordidus |
||
| スズメダイ科 | シコクスズメダイ Chromis margaritifer スズキ目スズメダイ科スズメダイ属 エラブ名: 千葉県以南、西部太平洋に分布。水深25mほどまでの岩礁・サンゴ礁域に分布。黒と尾部の白のツートンカラーが特徴の小型のスズメダイ。エラブではよく見られる種類でよくまとまった大きな群れで見ることができる。(坂上 嶺) |
![]() |
|
| スズメダイ科 | ソラスズメダイ Pomacentrus coelestis スズキ目スズメダイ科ソラスズメダイ属 エラブ名: 千葉県・新潟県以南、西部太平洋に分布。岩礁域、サンゴ礁域に生息。鮮やかなブルーの体色に尾部の黄色が特徴のスズメダイで水中でも一目でわかる。西浦湾では比較的浅めのサンゴ礁に多数の個体が定着している。(坂上 嶺) |
![]() ![]() |
|
| スズメダイ科 | デバスズメダイ Chromis viridis スズキ目スズメダイ科スズメダイ属 エラブ名: 小笠原諸島、高知県以南、インド-西部太平洋に分布。水深12mまでのサンゴ礁域に生息。全身が淡い青緑色の体色をしている。その生活は枝状サンゴに依存しており、危険を感じるとサンゴの隙間に隠れる。(坂上 嶺) |
||
| スズメダイ科 | ヒレナガスズメダイ Neoglyphidodon nigroris |
![]() |
|
| スズメダイ科 | フタスジリュウキュウスズメダイ Dascyllus reticulatus スズキ目スズメダイ科ミスジリュウキュウスズメダイ属 エラブ名: 伊豆半島以南、インド-西部太平洋に分布。水深50mほどまでのサンゴ礁域に生息。名前のとおり白地に2本の黒い横帯があるのが特徴なスズメダイ。この横帯は老成魚では不明瞭になる。枝状サンゴに強く依存した生活をしており、危険が迫るとすぐにサンゴの隙間に退避する。広島大学では、2010年より本種の研究を続けており、2013年には野外個体としては初めて雌から雄への性転換を確認している。(坂上 嶺) |
![]() ![]() |
|
| スズメダイ科 | ミツボシクロスズメダイ Dascyllus trimaculatus スズキ目スズメダイ科ミスジリュウキュウスズメダイ属 エラブ名: 本州中部以南、インド-西部太平洋に分布。サンゴ礁域や周辺の岩礁域に生息。全体が黒っぽく白の斑点が目立つスズメダイ。サンゴに定着しているものも見られるが、クマノミと同様イソギンチャクにも定着、共生している姿が見られる。写真は幼魚だが、大きくなれば10cm以上になる。(坂上 嶺) |
![]() |
|
| スズメダイ科 | ネズスズメダイ Chrysiptera glauca スズキ目スズメダイ科ルリスズメダイ属 エラブ名: 千葉県以南、インド-太平洋に分布。水深2mほどの岩礁域、サンゴ礁域に生息。本種もかなり浅い岸近くでよく見られるスズメダイの1種。成魚は全体的に灰色っぽい地味な体色だが、写真のように幼魚には綺麗な青いラインが目の上から背中に走っている。(坂上 嶺) |
||
| スズメダイ科 |
セナキルリスズメダイ |
||
| スズメダイ科 |
ミスジリュウキュウスズメダイ |
||
| スズメダイ科 |
マルスズメダイ |
||
| スズメダイ科 |
ルリスズメダイ |
||
| スズメダイ科 |
ルリホシスズメダイ |
||
| 66 | シマイサキ科 | ||
| シマイサキ科 |
コトヒキ |
||
| 68 | イスズミ科 | ||
| イスズミ科 |
ノトイスズミ
|
||
| 70 | カゴカキダイ科 | ||
| カゴカキダイ科 |
カゴカキダイ |
||
| 72 | ベラ科 | ||
| ベラ科 | アカササノハベラ Pseudolabrus eoethinus |
||
| ベラ科 | アカテンモチノウオ Cheilinus chlorourus |
![]() |
|
| ベラ科 | カンムリベラ Coris aygula |
![]() |
|
| ベラ科 | キツネダイ Bodianus oxycephalus スズキ目ベラ科タキベラ属 エラブ名: 千葉県以南、台湾など東アジア沿岸に分布。岩礁域に生息。名前のとおり狐みたいな顔をしていて、タイと名前はついているけど正体はベラの仲間。写真のようにジグにも食いついてくる。(坂上 嶺) |
||
| ベラ科 | クギベラ Gomphosus varius |
![]() |
|
| ベラ科 | シマタレクチベラ Hemigymnus fasciatus |
![]() |
|
| ベラ科 | シロタスキベラ Hologymnosus doliatus |
![]() |
|
| ベラ科 | セナスジベラ Thalassoma Hardwicke |
![]() |
|
| ベラ科 | タレクチベラ Hemigymnus melapterus |
![]() 写真左→タレクチベラ 写真右→テングカワハギ |
|
| ベラ科 | ニシキベラ Thalassoma cupido |
![]() |
|
| ベラ科 | ノドグロベラ Macropharyngodon meleagris |
![]() ![]() |
|
| ベラ科 | ホンソメワケベラ Labroides dimidiatus |
![]() ![]() |
|
| ベラ科 | ムナテンベラ Halichoeres melanochir |
||
| ベラ科 | ヤマブキベラ Thalassoma lutescens |
![]() |
|
| ベラ科 |
オニベラ |
||
| ベラ科 |
キスジキュウセン |
||
| ベラ科 |
ケサガケベラ |
||
| ベラ科 |
コガネキュウセン |
||
| ベラ科 |
スジベラ |
||
| ベラ科 |
セジロノドグロベラ |
||
| ベラ科 |
ツユベラ |
||
| ベラ科 | ヒレグロベラ Bodianus loxozonus スズキ目ベラ科タキベラ属 |
||
| ベラ科 |
ホクトベラ |
||
| ベラ科 |
ミヤコベラ |
||
| 74 | タチバナウオ科 | ||
| タナバタウオ科 |
ツバメタナバタウオ |
||
| 76 | キツネアマダイ科 | ||
| キツネアマダイ科 | ヤセアマダイ Malacanthus brevirostris スズキ目キツネアマダイ科キツネアマダイ属 エラブ名: 伊豆半島東岸、駿河湾、和歌山県白浜、愛媛県南部、高知県、琉球列島、ハワイ、南アフリカ、インド・太平洋域、東太平洋熱帯域に分布。サンゴ礁域やその周辺の砂底に生息し、稀に温帯域に出現する。体長26cmと、本科魚類では大型になる。主鰓蓋骨には大きな棘をもつ。体色は白っぽい。キツネアマダイに似るが吻は細長くなく、尾鰭を除き黒色縦帯は無い。生鮮時、不明瞭な横帯が出ることがある。口永良部島では普通種で、サンゴ礁外縁の砂地に多く生息する。砂底付近をホバリングする姿がよく見られた。(白井 和沙) |
||
| 78 | マンジュウダイ科 | ||
| ミカヅキツバメウオ Platax boersii スズキ目 マンジュウダイ科 ツバメウオ属 エラブ名: 福井県、伊豆諸島、小笠原諸島、岩手県-高知県以布利の太平洋沿岸、伊江島、西表島、済州島、台湾、フィリピン諸島、カリマンタン島、スラウェシ島、大スンダ列島、小スンダ列島、ニューギニア島、アンダマン海に分布。サンゴ礁域に生息する。幼魚は腹鰭が著しく長いこと、体側に幅の広い暗色横帯と細い暗色横帯が混じること、成魚は腹鰭が暗色であること、腹鰭基部後方に黒色斑がないこと、尾鰭基部に明瞭な暗色横帯があることで識別できる。幼魚は温帯域の浅瀬や内湾でみられるが、その多くは潮流に運ばれてきた死滅回遊魚である。成魚は群れをつくらずに単独で遊泳する。エラブでは幼魚はみられるが成魚は生息していないと考えられる。(木村 祐貴) |
|||
| 80 | ブダイ科 | ||
| ブダイ科 | アミメブダイ Scarus frenatus |
![]() |
|
| ブダイ科 | イチモンジブダイ Scarus forsteni スズキ目ブダイ科アオブダイ属 エラブ名:アカサ 小笠原諸島、高知県以南。ハワイを除く中・西部太平洋に分布。岩礁・サンゴ礁域に生息。エラブでは最も身近で、最も利用されているブダイ。写真の個体のように雌は全体的に赤っぽく、体側の中央に白点が見られる。雄は青っぽい体色となり、尾鰭の両端が伸びる。肉はさっぱりとした味で魚というよりは鶏肉に近い感じがする。ぶつ切りにしての唐揚げは絶品である。とくに30〜40cmほどの雌が一番おいしいと言われている。(坂上 嶺) |
![]() |
|
| ブダイ科 | オビブダイ Scarus schlegeli スズキ目ブダイ科アオブダイ属 エラブ名: 南日本、東インド-太平洋沿岸の岩礁、サンゴ礁域。エラブではよく見られるブダイの仲間。雌の体色は地味で、茶色に黄色の横帯が見られる。一方成熟した雄の頭部はまるで絵の具のような見事なブルーを現し、遠目でも一目でわかるほどである。(坂上 嶺) |
![]() |
|
| ブダイ科 | ブチブダイ Scarus niger スズキ目ブダイ科アオブダイ属 エラブ名: 高知県以南、インド・太平洋。サンゴ礁域に生息。こちらもエラブではよく見られるブダイ。名前の通り鰓孔上端に明るい黄緑色の小さい斑点を持つ。写真の個体は夜間寝ているところを撮影したもので、昼間よりもかなり近づくことができた。(坂上 嶺) |
||
| 82 | トラギス科 | ||
| トラギス科 | オグロトラギス Parapercis pacifica スズキ目 トラギス科 トラギス属 エラブ名: 伊豆諸島、和歌山県、高知県、大隅諸島、琉球列島、台湾、インドネシアなどに分布する。浅海の砂礫底やサンゴ礁域に生息する。尾鰭に大きな1暗色斑があり、その直後に小白色斑がないことで識別される。尾鰭の暗色斑が「オグロ」という名前の由来である。エラブでは至る所でみられる。(木村祐貴) |
![]() |
|
| トラギス科 | カモハラトラギス | ||
| トラギス科 | マダラトラギス
Parapercis tetracantha スズキ目 トラギス科 トラギス属 エラブ名: 伊豆諸島、伊豆半島以南の太平洋沿岸、大隅諸島、琉球列島に分布する。浅海の砂礫、サンゴ礁域に生息する。尾鰭基部上方に1暗色斑があること、頬部と鰓蓋後部に暗色帯があることで識別される。エラブでは主に西浦の水深5m以深でみられる。広島大学では本種のハレム構造に関する研究が行われていた。(木村祐貴)
|
||
| トラギス科 | ヨツメトラギス Parapercis clathrata スズキ目 トラギス科 トラギス属 エラブ名: 伊豆諸島、相模湾以南の太平洋岸、大隅諸島、琉球列島、東インド洋および西太平洋に分布する。サンゴ礁域の浅所に生息する。雄の項部背面にある1対の黒色斑を眼にたとえて「ヨツメ」という名前になった。エラブではオグロトラギス、ワヌケトラギスと同様の場所でみられるがそれほど数は多くない。(木村祐貴) |
![]() |
|
| トラギス科 | ワヌケトラギス Parapercis millepunctata スズキ目 トラギス科 トラギス属 エラブ名: 伊豆諸島。小笠原諸島、和歌山県以南の太平洋沿岸、大隅諸島、琉球列島、インド–太平洋に分布する。サンゴ礁域の浅所に生息する。尾鰭に大きな1暗色斑があり、その直後に小白色斑があることで識別される。尾鰭の小白色斑が「ワヌケ」という名前の由来。オグロトラギスと同様の場所でみられる。広島大学では最近まで本種の性転換に関する研究が行われていた。(木村祐貴) |
![]() ![]() |
|
| カモハラトラギス Parapercis kamoharai スズキ目 トラギス科 トラギス属 エラブ名: 伊豆諸島、相模湾、和歌山県、高知県、愛媛県愛南、大隅諸島、台湾、香港、スラウェシ島に分布。浅海岩礁域と周辺の砂泥底に生息する。背鰭棘数が5本であること、鰓蓋上方に周囲より顕著な暗色眼状斑がないこと、尾鰭上葉が突出すること、腹鰭基底に暗色斑があることで識別できる。エラブでは西浦などの浅海域でよくみられる。(木村 祐貴) |
|||
| 84 | ベラギンポ科 | ||
| ベラギンポ科 | ベラギンポ属の一種 Trichonotus sp. |
||
| 86 | ヘビギンポ科 | ||
| ヘビギンポ科 |
カスリヘビギンポ |
||
| ヘビギンポ科 |
タテジマヘビギンポHelcogramma striatum |
![]() |
|
| 88 | イソギンポ科 | ||
| イソギンポ科 |
イシガキカエルウオ |
![]() |
|
| イソギンポ科 | カモハラギンポ Meiacanthus kamoharai スズキ目 イソギンポ科 ヒゲニジギンポ属 エラブ名: 伊豆諸島、相模湾以南の太平洋沿岸、大隅諸島、琉球列島に分布する。サンゴ礁、岩礁域の水深15m以浅に生息する。体色は全体的に黒っぽく、頭部に網目状模様が散在する。活発に泳ぐ遊泳性。エラブでは本村港、西浦などでみられるがさほど数は多くない。(木村祐貴) |
|
|
| イソギンポ科 |
シマギンポ |
||
| イソギンポ科 |
セダカギンポ |
||
| イソギンポ科 |
センカエルウオ |
||
| イソギンポ科 |
タネギンポ |
||
| イソギンポ科 |
タマギンポ |
||
| イソギンポ科 | ニセカエルウオ Istiblennius edentulous スズキ目 イソギンポ科 カエルウオ属 エラブ名: 伊豆諸島、紀伊半島以南の太平洋沿岸、長崎県、大隅諸島、琉球列島、ハワイ諸島を除くインド・太平洋に広く分布する。岩礁性海岸に多く生息する。日本でみられる同属他種とは臀鰭最後部の軟条と尾柄部と鰭膜でほとんどつながらない、眼上の皮弁が不分枝で眼径と同長かそれより短い、側線は背鰭中央の欠刻を越え、背鰭軟条部の中央付近に達することから識別される。エラブでは折崎などの磯場に形成されるタイドプールでみられる。(木村祐貴) |
||
| イソギンポ科 | ヨダレカケ Andamia tetradactyla スズキ目 イソギンポ科 ヨダレカケ属 エラブ名:チャッパンコ 大隅諸島、琉球列島、台湾、インドネシアに分布する。岩礁性海岸や消波ブロックの飛沫帯に生息している。下唇に吸盤がある。生活史の大半を水上で過ごすという変わった生態をもつため「水が嫌いな魚」として有名。鰓ではなく皮膚で呼吸を行うため、皮膚が乾かないように時々体を回転させて湿らせている。エラブでは本村港や西浦、寝待などでみられるが近づくとピョンピョン跳ねて逃げてしまう。本種を研究していた広島大学の学生は、島民から「チャッパンコ」と呼ばれていた。 |
||
|
|
|||
| 90 | ハゼ科 | ||
| ハゼ科 |
アカハチハゼ |
![]() ![]() |
|
| ハゼ科 | サンカクハゼ Fusigobius neophytus スズキ目 ハゼ科 サンカクハゼ属 エラブ名: 大隅諸島、琉球列島、台湾、インド–太平洋に分布する。内湾のサンゴ根や岩礁周辺の砂底や砂礫底に生息する。体側に黒色斑や暗色斑があること、吻部背面にU字の暗色線があることで識別できる。自分の卵に砂をかけて隠す行動が発見され、広島大学の学生が研究を行っていた。エラブでは西浦の船着き場周辺でみられる。(木村祐貴) |
![]() |
|
| ハゼ科 | ナンヨウミドリハゼ Eviota prasina スズキ目 ハゼ科 イソハゼ属 エラブ名: 伊豆諸島、千葉県以南の太平洋沿岸、大隅諸島、琉球列島、台湾、インド–西太平洋に分布する。岩礁およびサンゴ礁域の潮間帯に生息する。体色は薄い緑色で尾柄部の腹中線上に3暗色斑があること、体側に不明瞭な6本の暗色横帯があることで識別できる。エラブでは折崎など岩礁性タイドプールで多くみられる。(木村祐貴) |
||
| ハゼ科 | ヒレナガネジリンボウ Stonogobiops nematodes スズキ目 ハゼ科 ネジリンボウ属 エラブ名: 伊豆諸島、千葉県以南の太平洋沿岸、琉球列島、フィリピン、バリ島、ボルネオ島に分布する。きれいな砂底でテッポウエビ類と共生している。第1背鰭の第2棘が著しく伸長することで容易に識別できる。外見のかわいさからダイバーに人気が高い。エラブでは西浦の水深25mでみられる。(木村祐貴) |
||
| ハゼ科 | ホシカザリハゼ Istigobius decorates スズキ目 ハゼ科 クツワハゼ属 エラブ名: 伊豆諸島、静岡県以南の太平洋沿岸、大隅諸島、琉球列島、台湾、インド–西太平洋に分布する。岩やサンゴ瓦礫の点在する砂底に生息する。第1背鰭の第1、2棘間上方に黒色点があること、尾鰭基底中央の黒色斑が体側中央のそれとほぼ同じ大きさになることで識別される。エラブでは本村湾赤灯台でみられた。(木村祐貴) |
||
| ハゼ科 | ヤマブキハゼ Amblyeleotris guttata スズキ目 ハゼ科 ダテハゼ属 エラブ名: 伊豆諸島、静岡県以南の太平洋沿岸、大隅諸島、琉球列島、台湾、西太平洋に分布する。サンゴ礁域の砂底にテッポウエビ類と共生している。体側に多数の円斑があること、腹部に暗色斑があることで識別できる。エラブでは本村湾赤灯台でみられた。(木村 祐貴) |
||
|
ミナミダテハゼ |
|||
| 92 | クロユリハゼ科 | ||
| クロユリハゼ科 | クロユリハゼ Ptereleotris evides スズキ目 クロユリハゼ科 クロユリハゼ属エラブ名:伊豆諸島、小笠原諸島、千葉県以南の太平洋沿岸、大隅諸島、琉球列島、台湾、インド–太平洋に分布する。内湾のサンゴ礁域、岩礁域の砂礫、砂底に生息する。体の後半が黒青色になること、尾鰭上下線に黒色線があることで容易に識別できる。中層から低層をホバリングしている。エラブでは西浦などでよくみられる。(木村祐貴)
|
||
| クロユリハゼ科 | ハタタテハゼ Nemateleotris magnifica スズキ目 クロユリハゼ科 ハタタテハゼ属 エラブ名: 伊豆諸島、小笠原諸島、千葉県以南の太平洋沿岸、大隅諸島、琉球列島、台湾、インド–太平洋に分布する。サンゴ礁域の礁斜面、礫混じりの砂底、砂泥底に生息する。体の前半は乳白色、後半は赤橙色であること、第1背鰭の第2棘が伸長することで識別できる。鮮やかな見た目から観賞魚として人気が高い。エラブでは西浦などでよくみられる。(木村祐貴) |
![]() |
|
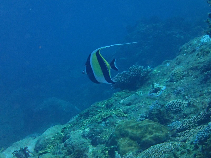
| 94 | ツノダシ科 | ||
| ツノダシ科 | ツノダシ Zanclus cornutus スズキ目 ツノダシ科 ツノダシ属 エラブ名: 青森県以南、インド・太平洋域に分布。岩礁・サンゴ礁域に生息する。背鰭第3棘が糸状に長く伸長する。全長25cmほど。(佐々木 司) |
![]() ![]() |
|
| ツノダシ Zanclus cornutus スズキ目 ツノダシ科 ツノダシ属 エラブ名: 山口県萩、長崎県、鹿児島県長島、伊予灘、青森県八戸-九州南岸の太平洋沿岸、伊豆諸島、小笠原諸島、火山列島、沖ノ鳥島、琉球列島、尖閣諸島、南大東島、済州島、台湾、香港、東沙群島、西沙群島、南沙群島、インド-汎太平洋に分布。岩礁、サンゴ礁域に生息。吻が突出し、小さな口が前端にあること、背鰭第3-7棘が伸長することで容易に識別できる。チョウチョウウオ科ハタタテダイに類似するが、本種は尾鰭が黒色である。観賞魚として人気が高く、多くの水族館で展示されている。エラブでは浅場の至る所でみられる。(木村 祐貴) |
|||
| 96 | アイゴ科 | ||
| アイゴ科 | ハナアイゴ | ||
| 98 | ニザダイ科 | ||
| ニザダイ科 | シマハギ
Acanthurus triostegus |
![]() |
|
| ニザダイ科 | ナガニザ
Acanthurus nigrofuscus |
![]() |
|
| ニザダイ科 | ニジハギ Acanthurus lineatus |
![]() ![]() |
|
| ニザダイ科 | ニセカンランハギ
Acanthurus dussumieri |
||
| ニザダイ科 |
ヒレナガハギ |
||
| ニザダイ科 | ゴマハギ Zebrasoma scopas スズキ目 ニザダイ科 ヒレナガハギ属 エラブ名: 八丈島、小笠原諸島、静岡県富戸、和歌山県串本、高知県柏島、屋久島、琉球列島、尖閣諸島、台湾南部、東沙群島、南沙群島、インド-太平洋に分布。岩礁、サンゴ礁域に生息する。体側後半部に楕円形の絨毛域があること、体側後半部の体色は生時・固定後とも暗色であることで識別できる。サンゴ礁などの表面から糸状藻類を削り取って食べている。エラブでは浅場のサンゴ礁域でみられる。(木村祐貴) |
||
| ニザダイ科 | ツマリテングハギ Naso brevirostris スズキ目 ニザダイ科 テングハギ属 エラブ名: 青森県深浦、富山湾、伊豆諸島、小笠原諸島、千葉県館山、神奈川県熱海、高知県柏島、愛媛県愛南、台湾南部、香港、東沙群島、西沙群島、南沙群島、インド-太平洋、ガラパゴス諸島に分布。岩礁・サンゴ礁域に生息。尾柄部の骨質板数が2つであること、前頭部に角状突起がないか、または吻部が膨出することで識別できる。若魚は葉状藻類を食べるが、成魚になると動物プランクトンを食べるようになる。エラブでは浅場の岩礁域で多くみられる。(木村祐貴) |
||
| ニザダイ科 | テングハギ Naso unicornis スズキ目 ニザダイ科 テングハギ属 エラブ名: 青森県下北半島-九州南岸の太平洋沿岸、伊豆諸島、小笠原諸島、火山列島、兵庫県姫路、伊予灘、青森県牛竜、石川県能都、兵庫県浜坂、山口県豊浦、長崎県野母崎、男女群島、屋久島、琉球列島、尖閣諸島、南大東島、朝鮮半島南岸、台湾、遼寧省、浙江省、東沙群島、西沙群島、南沙群島、インド-太平洋に分布。岩礁、サンゴ礁域に生息する。尾柄部の骨質板数が2つであること、体側背部は隆起しないことで識別できる。地域によっては追い込み網漁などで漁獲され、食用にされる。エラブでは浅場の岩礁域で多くみられる。(木村祐貴) |
||
| 100 | カマス科 | ||
| カマス科 | アカカマス
Sphyraena pinguis |
![]() ![]() |
|
|
カマス科 |
タイワンカマスSphyraena obtusataスズキ目 カマス科 カマス属エラブ名:相模湾以南、インド・西太平洋に分布。サンゴ礁や岩礁域の沿岸浅所に生息する。鮮時、体側には黄褐色の縦帯が2本あり、鱗は粗い。エラブでは本村の堤防や折崎の磯などから釣ることができ、塩焼きなどで美味しく食べることができる。(佐々木
司) |
||
| 102 | クロタチカマス科 | ||
| クロタチカマス科 |
クロシビカマスPromethichthys prometheus |
写真 クロシビカマスは→下の個体 上は→ムツ |
|
| クロタチカマス科 | エラブスミヤキ Neoepinnula minetomai スズキ目 クロタチカマス科 クトウヨウカマス属 エラブ名: |
|
|
| 104 | サバ科 | ||
| サバ科 | キハダ Thunnus albacares スズキ目 サバ科 マグロ属 エラブ名:シビ 全世界の温帯・熱帯域に分布。外洋の表層に生息する。背鰭と臀鰭は黄色く、成長と共に伸長する。全長2mほど。船からジギングなどで釣ることができる。 |
||
| サバ科 | スマ Euthynnus affinis スズキ目 サバ科 スマ属 エラブ名:ホシタロウ 兵庫県以南の日本海、相模灘以南の太平洋沿岸、インド・太平洋域に分布。沿岸の表層に生息する。胸鰭下方に数個の黒色班がある。全長1mほど。船釣りや磯釣りで釣ることができる。 |
![]() |
|
| フグ目 | |||
| 106 | モンガラカワハギ科 | ||
| モンガラカワハギ科 | クロモンガラ Melichthys vudua スズキ目 モンガラカワハギ科 ソロイモンガラ属 エラブ名:コンタ 伊豆諸島、小笠原諸島、北海道南部–宇和海の太平洋沿岸、大隅諸島、琉球列島、台湾、インド–西太平洋、ガラパゴス諸島、コスタリカに分布。岩礁、サンゴ礁域のやや深所に生息する。第2背鰭と臀鰭が白いことで識別できる。雑食性で藻類、エビ類、カニ類、魚類などを食べる。釣りの外道であり、固い口で針を折られることがよくあるため嫌われがち。エラブでは至る所でみられる。(木村祐貴)
|
![]() |
|
| モンガラカワハギ科 | ツマジロモンガラ Sufflamen chrysopterum スズキ目 モンガラカワハギ科 メガネハギ属 エラブ名:コンタ コンタ伊豆諸島、小笠原諸島、千葉県以南の太平洋沿岸、大隅諸島、琉球列島、台湾、インド–西太平洋に分布する。50m以浅の岩礁、サンゴ礁域に生息する。尾鰭後縁に白色の弧状斑があることで容易に識別できる。本科魚類の中では最も普通にみられる。釣りの外道であり、口が固いために針がなかなか外せない。エラブでは水中でも釣りでもよくみられる。(木村祐貴) |
||
| モンガラカワハギ科 | ゴマモンガラ Balistoides viridescens スズキ目 モンガラカワハギ科 モンガラカワハギ属 エラブ名: 小笠原諸島、神奈川県以南の太平洋沿岸、大隅諸島、琉球列島、台湾、インド–太平洋に分布する。水深50m以浅のサンゴ礁域に生息する。口角の後方に無鱗の皮槢があること、尾柄部が白いことで識別できる。かなり大型になり全長60cmを超えることもある。ウニ類、甲殻類を好み、強大な歯で殻ごとかみ砕く。網に引っ掛かったイセエビを食べてしまうこともある厄介者。噛みつかれると危険なためあまり近づかない方がよい。エラブでは水中で出会うことがあるほか、釣りでも釣れることがある。(木村祐貴) |
||
| モンガラカワハギ科 | メガネハギ Sufflamen fraenatum スズキ目 モンガラカワハギ科 メガネハギ属 エラブ名: 伊豆諸島、小笠原諸島、千葉県以南の太平洋沿岸、大隅諸島、琉球列島、台湾、インド–太平洋に分布する。サンゴ礁域の浅所に生息する。体全体が褐色であること、眼の周囲に横帯がないことで識別される。繁殖期にはすり鉢状の巣をつくり、卵が孵化するまで親が保護することが知られている。エラブでは水中で出会うことがあるほか、釣りでも釣れることがある。(木村祐貴) |
![]() |
|
| モンガラカワハギ科 | モンガラカワハギ Balistoides conspicillum フグ目 モンガラカワハギ科 モンガラカワハギ属 エラブ名: 岩手県、八丈島、小笠原諸島、鹿島灘-九州南岸の太平洋沿岸、新潟県-長崎県野母崎の日本海沿岸、屋久島、琉球列島、南大東島、尖閣諸島、済州島、台湾、海南島、西沙群島、インド-西太平洋、フィジー諸島、サモア諸島に分布。サンゴ礁域に生息する。体の腹側に大きな白色斑が散在すること、尾柄部にのみ小棘が散在することで識別できる。鮮やかな体色をしており、観賞魚として人気が高い。エラブでは西浦のサンゴ礁域でみられるほか、釣りの外道として釣獲されることもある。(木村祐貴) |
||
| 108 | カワハギ科 | ||
| カワハギ科 | ソウシキハギ Aluterus scriptus スズキ目 カワハギ科 ウスバハギ属 エラブ名:ホウキバ 伊豆諸島、小笠原諸島、北海道・津軽海峡–九州南岸の太平洋沿岸、新潟県–長崎県の日本海・東シナ海沿岸、大隅諸島、琉球列島、台湾、全世界の温帯–熱帯域に広く分布する。沿岸域の様々な環境に生息する。尾鰭が長く、後端は丸いことで容易に識別される。エラブではホウキバと呼ばれ、フライなどで食べられているが、多くの場所でシガテラ毒をもつことが報告されており要注意。なぜこの海域ではシガテラ毒をもたないのかについて今後の研究が必要。西浦、寝待などでみられる。(木村祐貴) |
![]() |
|
| カワハギ科 | テングカワハギ Oxymonacanthus longirostris スズキ目 カワハギ科 テングカワハギ属 エラブ名: 小笠原諸島、高知県、琉球列島、台湾南部、インド–西太平洋、ミクロネシアに分布する。サンゴ礁域の浅所に生息する。吻が筒状で口が上方に開口すること、体色が青緑色で黄色の斑紋が規則的に並ぶことで容易に識別される。サンゴ枝の間をペアで遊泳していることが多い。観賞魚として人気が高い。エラブでは西浦の枝サンゴ周辺でよくみられる。(木村祐貴) |
![]() ![]() ![]() |
|
| カワハギ科 | キビレカワハギ Thamnaconus modestoides フグ目 カワハギ科 ウマヅラハギ属 エラブ名: 八丈島、小笠原諸島、神奈川県三浦半島、三重県志摩、和歌山県南部、高知県以布利、愛媛県深浦、兵庫県浜坂、山口県日本海沿岸、五島列島南西沖、台湾、香港、オーストラリア西岸・東岸、ニューカレドニア、アンダマン海、チャゴス群島、マダガスカル、アフリカ南東岸に分布。水深200m以浅の砂泥底や岩礁に生息する。体は一様に灰色で模様がないこと、鰓孔は眼の前半部下方にあることで識別できる。エラブでは水深50m-100mで釣獲されることがある。冬には肝が大きく発達し、カワハギと同様に美味しくいただける。(木村祐貴) |
||
| 110 | ハコフグ科 | ||
| ハコフグ科 | ハコフグ Ostracion immaculatum 北海道の日本海側、オホーツク海を除く日本全国・東シナ海沿岸に分布。岩礁域に生息している。ミナミハコフグとかつては混同されていたが、成魚の頭部や尾鰭に小黒点がないことや、幼魚の体の黒斑が明瞭でないことから区別される。雄は背中が鮮やかな青色になることが知られており、観賞魚として人気がある。本種も皮膚に粘液毒を持つが、食用になる。 |
||
| ハコフグ科 |
ミナミハコフグ 茨城県以南の太平洋沿岸、山口県~福岡県の日本海沿岸、インド・太平洋の熱帯域を中心に分布。水深50m以深の岩礁域やサンゴ礁域に生息している。写真は幼魚で、鮮やかな黄色の体色に、多数の黒色点を持つ。成魚になると体色はくすんだ色になり、鰭に小黒点が見られるようになる。観賞魚として人気があるが、皮膚に粘液毒をもつため他の魚との同居は難しい。(坂上
嶺) |
||
| 112 | フグ科 | ||
| フグ科 | コクテンフグ Arothron nigropunctatus フグ目 フグ科 モヨウフグ属 |
![]() |
|
| フグ科 | シマキンチャクフグ Canthigaster valentine フグ目 フグ科 キタマクラ属 エラブ名: 相模湾以南、インド・太平洋域に分布。水深60m以浅のサンゴ礁域に生息する。体側の鞍状班は腹部下方に達する。全長10cmほど。 |
![]() |
|
| フグ科 | ハナキンチャクフグ Canthigaster axiologa フグ目 フグ科 キタマクラ属 エラブ名: 千葉県以南、台湾・フィリピンなどに分布。砂礫底、藻場、サンゴ礁付近に生息する。体側の鞍状班は腹部下方に達しない。全長10cmほど。 |
![]() ![]() |
|
| 114 | ハリセンボン科 | ||
| ハリセンボン科 | イシガキフグ Chilomycterus reticulatus |
![]() |
|
| ハリセンボン科 | ハリセンボン Diodon holocanthus フグ目ハリセンボン科ハリセンボン属 エラブ名: 青森県以南、全世界の温帯・熱帯域に分布。水深40mほどにまで生息。危険が迫ると体を膨らませ、全身の棘で身を守ることで有名なフグ。肝を混ぜて作るみそ汁「アバサー汁」でいただくととても美味しい。(坂上 嶺) |
![]() ![]() |
|